
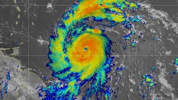
ক্যারিবীয় কিছু দ্বীপে তাণ্ডব চালিয়ে শক্তিশালী ঘূর্ণিঝড় বেরিল আঘাত হানতে যাচ্ছে জামাইকায়। যুক্তরাষ্ট্রের জাতীয় হারিকেন সেন্টারের এক মুখপাত্র বলেছেন, অল্প সময়ের মধ্যেই (স্থানীয় সময় বুধবার, ৩ জুলাই সকালে) বেরিলের কেন্দ্রস্থল জামাইকার দক্ষিণ অংশের কাছাকাছি বা তার ওপর দিয়ে যাবে বলে আশঙ্কা করা হচ্ছে।
এক প্রতিবেদনে এ খবর জানিয়েছে ব্রিটিশ সংবাদমাধ্যম বিবিসি।
হারিকেন সেন্টারের মুখপাত্র ড. মাইকেল ব্রেনান বলেছেন, ‘আগামী কয়েক ঘন্টার মধ্যে ক্যাটাগরি ৩ বা ক্যাটাগরি ৪ মাত্রার শক্তি নিয়ে বেরিল দ্বীপের বেশিরভাগ অংশজুড়ে প্রভাব ফেলবে।’
অর্থাৎ, এর বাতাসের গতিবেগ ঘণ্টায় সর্বোচ্চ ২৪৯ কিলোমিটার বা ১৫৫ মাইল হবে বলে জানান মাইকেল।
তিনি বলেন, আমরা সম্ভাব্য প্রাণঘাতী ঝড়ের প্রভাবে সৃষ্ট জলোচ্ছ্বাস নিয়েও উদ্বিগ্ন... কারণ এই মাত্রার ঝড়ে স্বাভাবিকের চেয়ে ৬ থেকে ৯ ফুট (২.৭ মিটার পর্যন্ত) উচ্চতার জলোচ্ছ্বাসের শঙ্কা আছে।
বুধবার সন্ধ্যা পর্যন্ত স্থানীয়দের নিরাপদ আশ্রয়ে থাকার পরামর্শ দিয়েছেন মাইকেল ব্রেনান।
এছাড়াও, ৩০ সেন্টিমিটারের বেশি বৃষ্টিপাতের পূর্বাভাসও জানানো হয়েছে। বেরিল মোকাবিলা করতে এরই মধ্যে সতর্কতা জারি করেছে জামাইকা প্রশাসন। বাসিন্দাদের নিরাপদে থাকাসহ প্রয়োজনীয় খাদ্য ও জিনিস মজুতের নির্দেশনা দেয়া হয়েছে।
এদিকে, বেরিলের প্রভাবে ভেনিজুয়েলাতে হতাহতের ঘটনা ঘটেছে। বেশ কয়েকজন নিখোঁজ রয়েছেন বলেও জানিয়েছে স্থানীয় কর্তৃপক্ষ। অন্যদিকে, বৃহস্পতিবার থেকে দুর্বল হতে পারে হারিকেনটি। আর শুক্রবারের মধ্যে এর প্রভাব ধীরে ধীরে কমতে থাকবে। তবে বৃষ্টিপাতের সম্ভাবনা রয়েছে।
সম্পাদক: মোঃ শাহাব উদ্দিন, প্রকাশক: মোঃ শাহজাদা হোসাইন, নির্বাহী সম্পাদক : এম শহিদুল ইসলাম নয়ন
অফিস: ১৪/১৬ কাজলারপাড়, ভাঙ্গাপ্রেস, যাত্রাবাড়ী, ঢাকা-১২৩৬
@ Economicnews24 2026 | All Rights Reserved